和政县城关镇卫生院业务综合楼建设项目批前公示
和政县卫生健康局向我单位申报了和政县城关镇卫生院业务综合楼建设项目方案设计,现依据《中华人民共和国城乡规划法》、《甘肃省城乡规划条例》、《甘肃省建设项目规划许可办法》等相关法律规定,在规划许可之前,将有关情况予以公开公示,接受社会公众监督。
一、项目位置
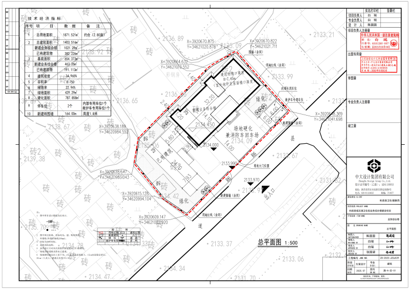
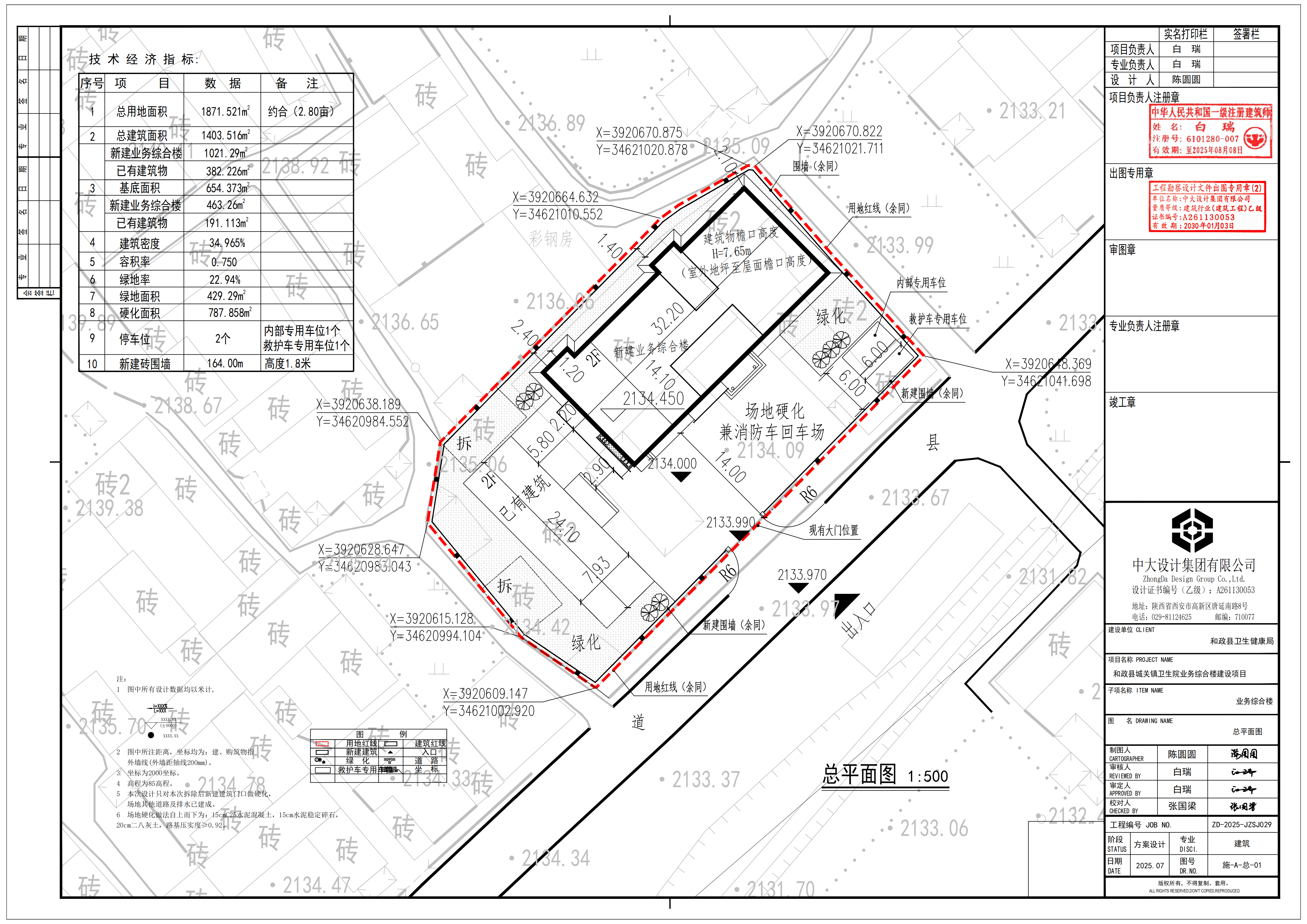
该项目位于和政县城关镇卫生院院内。
二、设计方案中的主要内容及指标
地块面积1871.521平方米,用途为医疗卫生用地。总建筑面积1403.516平方米,其中新建业务综合楼1021.29平方米,已有建筑物382.226平方米。容积率0.75,建筑密度34.965%,绿地率22.94%。
三、公示时间及意见反馈
公示时间:7天,2025年7月24日至2025年7月30日。
根据《行政许可法》第三十六条及第四十七条之规定,行政许可人、利害关系人有权进行陈述、申辩和要求听证的权利。公示期间如有意见和建议,请以书面形式反馈到和政县二号统办楼708室(单位需盖公章,个人需署真实姓名及联系方式);申请听证的请在公示期间向我单位书面申请。逾期未提出的,视为同意方案及放弃听证权利,我单位将依法作出相关行政许可。
联系地址:和政县二号统办楼708室
联系电话(传真):0930-5522108
附件:
和政县城关镇卫生院业务综合楼建设项目效果图
和政县城关镇卫生院业务综合楼建设项目总平图
和政县自然资源局
2025年7月24日

