富强·山水壹品理想社区修建性详细规划及建筑变更设计方案批前公示
甘肃国志房地产开发有限责任公司向我单位申报了富强·山水壹品理想社区修建性详细规划及建筑变更设计方案,我单位按程序组织了规划及建筑专家评审会,按专家意见设计单位已修改完善,现依据《中华人民共和国城乡规划法》《甘肃省城乡规划条例》《甘肃省建设项目规划许可办法》等相关法律规定,在规划许可之前,将有关情况予以公开公示,接受社会公众监督。
一、项目位置
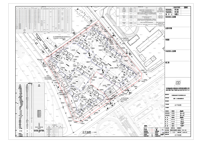
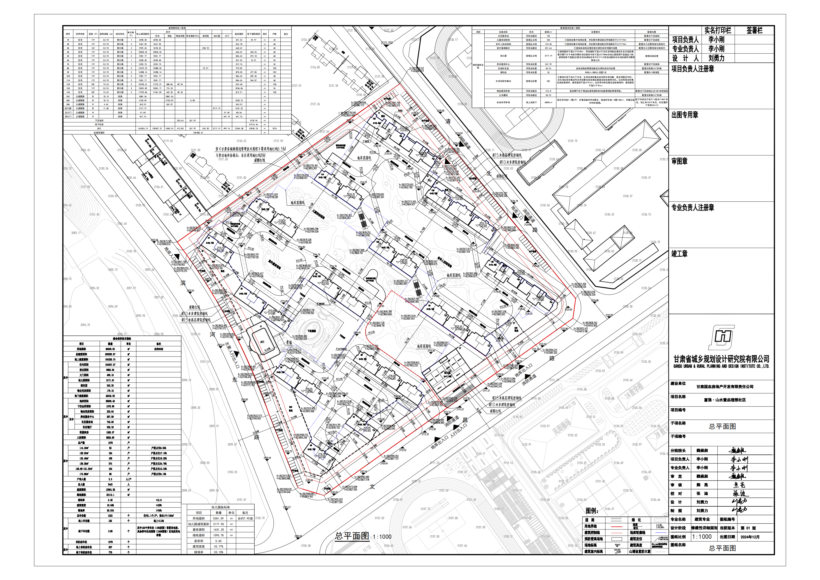
该项目位于临夏回族自治州和政县达浪乡李家坪村,北至学士路,南至滨河东路,东至文昌路。
二、规划条件
地块用地性质:居住用地,用地面积为6.6007公顷,容积率≤2.6,建筑密度≤20%,绿地率≥35%,建筑高度≤80米。
三、设计方案变更原因及内容
变更原因:由于富强·山水壹品理想社区修建性详细规划及建筑方案设计原规划户型面积过大导致市场适配性不足,且层高设计为充分匹配调整后户型的居住需求,需对户型及层高进行优化,因此对原设计方案进行变更。
变更内容:原设计方案中地块面积66006.63㎡,用途为居住用地。拟建11栋17层住宅楼,1栋16层住宅楼,2栋24层住宅楼,1栋3层幼儿园,并配建物业用房、养老服务中心、社区服务站等配套服务设施用房,总建筑面 积为206382.67㎡,地上建筑面积164336.74㎡,地下建筑面积42045.93㎡。
变更设计方案中地块面积66006.63㎡,用途为居住用地。拟建14栋17层住宅楼,2栋2层商业楼,1栋1层商业楼,1栋3层幼儿园,并配建物业用房、养老服务中心、社区服务站等配套服务设施用房,总建筑面积为195027.32㎡,地上建筑面积153465.89㎡,地下建筑面积41561.43㎡。
原方案指标:容积率2.49,建筑密度19.04%,绿地率35.01%, 机动车停车位1323辆(其中:地上停车位125辆,地下停车位1198辆),非机动车位1076辆(其中:地上297辆,地下779辆)。
方案变更后指标:容积率2.33,建筑密度19.32%,绿地率35.00%, 机动车停车位1319辆(其中:地上停车位131辆,地下停车位1188辆),非机动车位1060辆(其中:地上1060辆,充电车位106辆)。
四、公示时间及意见反馈
公示时间:7天,2025年12月25日至2025年12月31日。
根据《中华人民共和国行政许可法》第三十六条及第四十七条之规定,行政许可人、利害关系人有权进行陈述、申辩和要求听证的权利。公示期间如有意见和建议,请以书面形式反馈到和政县二号统办楼708室(单位需加盖公章,个人需署真实姓名及联系方式);申请听证的请在公示期间向我单位书面申请。逾期未提出的,视为同意方案及放弃听证权利,我单位将依法作出相关行政许可。
联系地址:和政县二号统办楼708室
联系电话(传真):0930-5522108
附件:1.富强·山水壹品理想社区修建性详细规划及建筑方案设计平面图及效果图
2.富强·山水壹品理想社区修建性详细规划及建筑变更设计方案平面图及效果图
和政县自然资源局
2025年12月25日







