和政县城关镇加油加气合建站建设项目建设用地规划许可证批后公示
临夏鑫辰能源有限公司向我单位申请办理和政县城关镇加油加气合建站建设项目建设用地规划许可证,我单位按程序对申报材料进行了审核并做出予以办理的决定,现依据《行政许可法》《城乡规划法》《自然资源领域基层政务公开标准指引》等相关法律规定,对许可证证载内容进行公布:
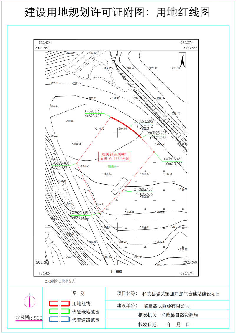
1.申请单位:临夏鑫辰能源有限公司
2.项目名称:和政县城关镇加油加气合建站建设项目
3.审批事项:建设用地规划许可证
4.许可证号:地字第622925202500014号
5.批准用地机关:和政县人民政府
6.用地位置:和政县城关镇G310国道旁
7.用地面积:用地面积4334㎡
8.土地用途:公用设施营业网点用地
9.发证日期:2025年10月29日


