和政县三合镇二甲村幼儿园建设项目批前公示
和政县教育和科学技术局向我单位申报了和政县三合镇二甲村幼儿园建设项目方案设计,现依据《中华人民共和国城乡规划法》《甘肃省城乡规划条例》《甘肃省建设项目规划许可办法》等相关法律规定,在规划许可之前,将有关情况予以公开公示,接受社会公众监督。
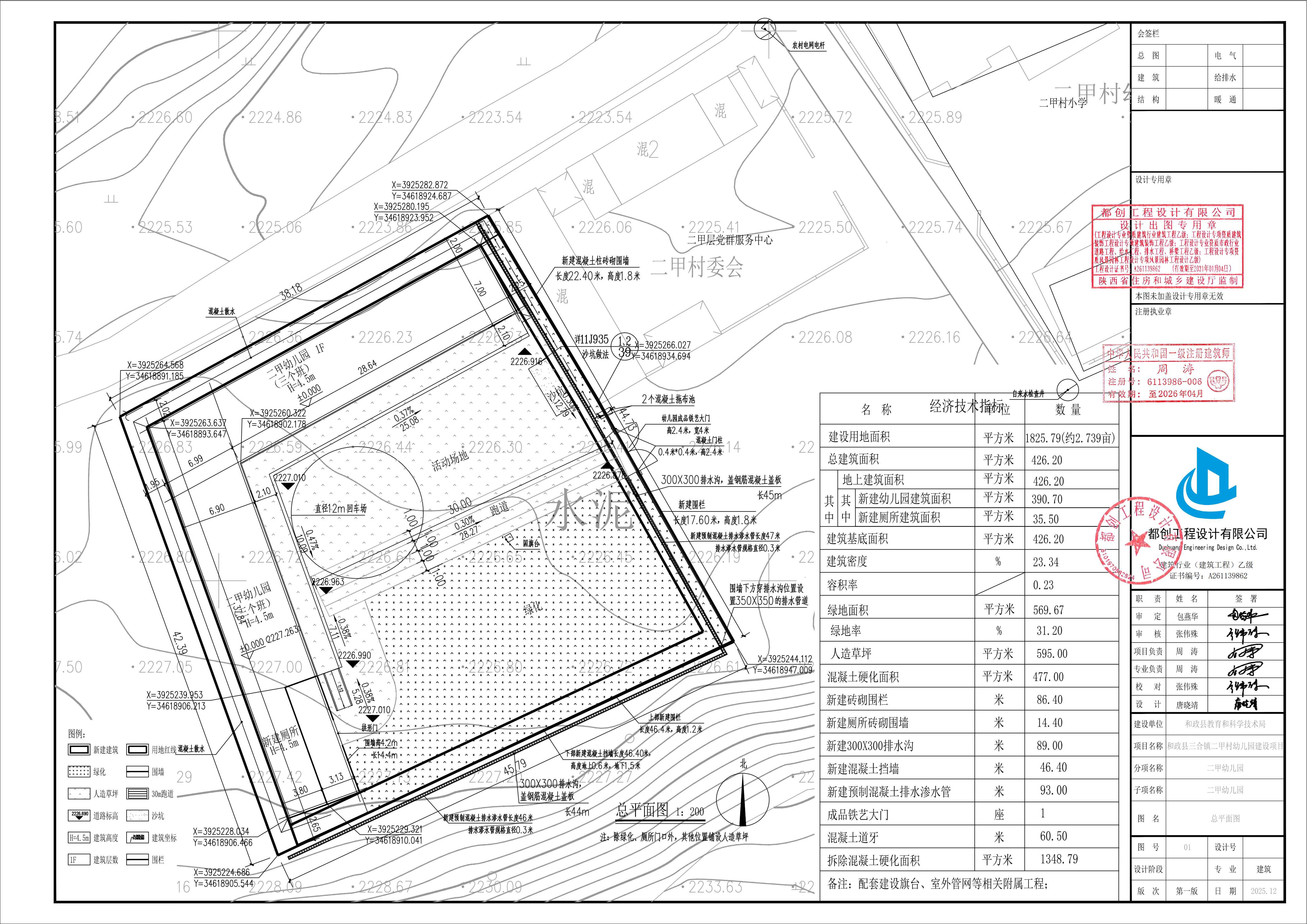
一、项目位置
该项目位于和政县三合镇二甲村。
二、设计方案中的主要内容及指标
项目总用地面积为1825.79平方米(2.739亩),总建筑面积426.2平方米,其中新建一层幼儿园建筑390.7平方米及新建一层厕所35.5平方米。同时新建混凝土硬化、砖砌围墙、排水沟、混凝土挡墙、绿地、旗台室外管网等相关附属工程。
三、公示时间及意见反馈
公示时间:7天,2026年3月5日至2026年3月11日。
根据《中华人民共和国行政许可法》第三十六条及第四十七条之规定,行政许可人、利害关系人有权进行陈述、申辩和要求听证的权利。公示期间如有意见和建议,请以书面形式反馈到和政县二号统办楼708室(单位需盖公章,个人需署真实姓名及联系方式);申请听证的请在公示期间向我单位书面申请。逾期未提出的,视为同意方案及放弃听证权利,我单位将依法作出相关行政许可。
联系地址:和政县二号统办楼708室
联系电话(传真):0930-5522108
附件:
和政县自然资源局
2026年3月5日

